Gênero Sinervus Stål, 1860

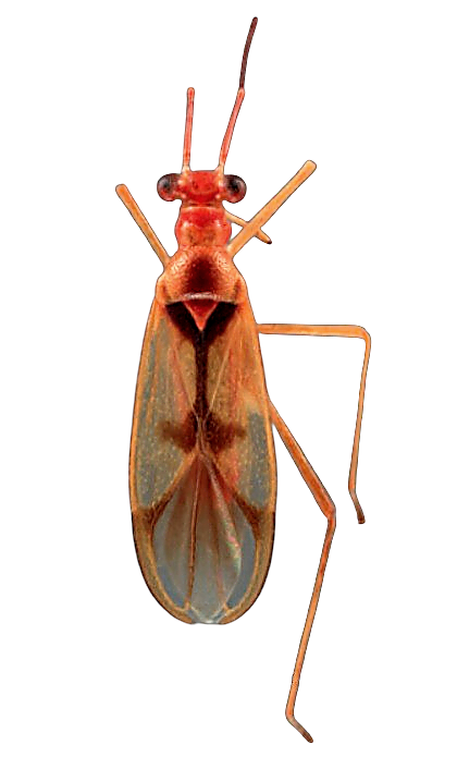
Diagnose. Cabeça com olhos pedunculados (Fig. 1) Figura 1 angulados para cima e para a frente, formando um vértice distintamente côncavo em “V”; vértice com uma sutura mediana longa e profunda entre os olhos. Cúneo, na maioria das espécies, estreitado e afilado em direção ao ápice, estendendo-se além da grande aréola. Macho com endossoma tubular, de ápice rombo ou agudo; parâmero esquerdo (Fig. 2) Figura 2 em forma de “L”, estendendo-se abruptamente em ângulo a partir do lobo sensorial.

Chave para as espécies de Sinervus no Brasil

1. Cabeça e pronoto esbranquiçados a castanho-amarelados.
2
Cabeça e pronoto total ou parcialmente castanhos, acinzentados ou pretos, com áreas claras frequentemente tingidas de vermelho.
4
2. Coloração geral pálido-amarelada ou pálido-avermelhada; pernas e antenas pálidas; segmentos antenais II e III não avermelhados apicalmente; segmento II levemente escurecido no ápice Fig. 1 Fig. 1 .
Coloração geral não pálido-amarelada ou pálido-avermelhada.
3
3. Pronoto predominantemente amarelado, exceto pelo colar e duas pequenas manchas na base do disco, negras; escutelo castanho-escuro com uma linha vertical do ápice alcançando o mesoscuto Fig. 2 Fig. 2 .
Outro conjunto de caracteres. Hemiélitros com o terço apical do clavo e uma mancha corial horizontal e curvada posteriormente em ambos os lados, marrom Fig. 3 Fig. 3 .
4. Cabeça e pronoto uniformemente fuscos a negros. Hemiélitros com duas faixas transversais atingindo o embólio.
5
Cabeça e pronoto não uniformemente fuscos a negros.
6
5. Cabeça, pronoto, escutelo e primeiro segmento antenal negros; os fêmures amplamente escurecidos; genitália masculina com ápice do endossoma, parâmero esquerdo e direito como na Fig. 4 Fig. 4 .
Segmento antenal I uniformemente pálido; genitália masculina com ápice do endossoma, parâmero esquerdo e direito como na Fig. 5 Fig. 5 .
6. Disco do pronoto uniformemente negro.
7
Disco do pronoto não uniformemente negro.
9
7. Hemiélitros com pequena faixa escura transversal, não atingindo o embólio; base e bordas do cúneo e veias da membrana negras Fig. 6 Fig. 6 .
Hemiélitros sem pequena faixa escura transversal.
8
8. Segmento antenal I pálido; fêmures avermelhados no terço apical; cório com pequena mancha indistinta em ambos os lados do meio Fig. 7 Fig. 7 .
Segmento antenal I predominantemente fusco; fêmures uniformemente pálidos; cório na região mediana com uma mancha fusca distinta em ambos os lados Fig. 8 Fig. 8 .
9. Colar do pronoto e escutelo vermelhos.
10
Colar do pronoto e escutelo, pelo menos em parte, fuscos ou negros.
11
10. Clavo com metade basal interna, comissura claval, uma mancha em forma de barra na margem mediana interna do cório e ápice do cório, delimitando a membrana, fuscos Fig. 9 Fig. 9 .
Clavo com a margem interna estreita escura; cório com mancha indistinta mediana, marrom; ápice do cório margeando a membrana, pálido Fig. 10 Fig. 10 .
11. Cabeça com vértice e extremidade anterior marrons; base do segmento antenal I pálida com área central marrom e ápice amarelado; cúneo longo, curto e afilado para o ápice com o limite interno-externo do cúneo escuro ou levemente escuro Fig. 11 Fig. 11 .
Cabeça e antenas uniformemente amarelo-pálidas; cúneo curto e largo com apenas a margem externa levemente escura Fig. 12 Fig. 12 .
Referências e Bibliografia sugerida

Referências e Bibliografia sugerida

Barcellos, A.; Schmidt, L. S.; Ferreira, P. S. F. 2011. Composition and structure of a Miridae (Hemiptera, Heteroptera) assemblage from a relict of deciduous rainforest in southern Brazil. Iheringia, Série Zoologia 101(1–2): 115–120. DOI: https://doi.org/10.1590/S0073-47212011000100016

Bolshakova, D. S.; Konstantinov, F. V. 2024. Revision of the genus Kunungua (Hemiptera, Heteroptera, Miridae) with descriptions of three new species and new generic synonymy. Deutsche Entomologische Zeitschrift 71(1): 219–239. DOI: https://doi.org/10.3897/dez.71.122735

Carvalho, J. C. M. 1945. Mirídeos Neotropicais, gêneros Diaphinidia Uhler, Hyaliodes Reuter, Hyaliodocoris Knight, Sinervus Stål e Spartacus Distant, com descrições de espécies novas. Boletim do Museu Nacional (n. s.) (Zool.), Rio de Janeiro 36: 1–79.

Carvalho, J. C. M. 1948. Mirídeos Neotropicais, XXXIV: descrição de uma espécie nova de Falconia Distant e algumas correções sinonímicas (Hemiptera). Revista Brasileira de Biologia 8(2): 189–192.

Carvalho, J. C. M. 1952. Neotropical Miridae, LI: on the present generic assignement of the species in “Bidrag till Rio Janeiro-Traktens Hemipter-fauna” (Hemiptera). Revista Brasileira de Biologia 12(2): 215–217.

Carvalho, J. C. M. 1957. A catalog of the Miridae of the world. Part I. Cylapinae, Deraeocorinae, Bryocorinae. Arquivos do Museu Nacional, Rio de Janeiro 44(1): 1–158.

Carvalho, J. C. M. 1984. Mirídeos Neotropicais, CCXLVII: descrições de um novo gênero e trinta e quatro espécies novas da tribo Bryocorini Douglas & Scott (Hemiptera). Revista Brasileira de Biologia 44(3): 267–334.

Carvalho, J. C. M. 1990. Mirídeos Neotropicais, CCCXLII: novo gênero e novas espécies da América do Sul (Hemiptera). Anais da Academia Brasileira de Ciências 62(4): 393–400.

Carvalho, J. C. M. 1991. Mirídeos Neotropicais, CCCLV: novas espécies de Chanchamayo, Peru, com lista anterior do mesmo país (Hemiptera). Revista Peruana de Entomologia 33: 87–96.

Carvalho, J. C. M.; Fontes, A. V. 1967. Mirídeos Neotropicais, XCVIII: três novas espécies das tribos Bryocorini e Orthotylini (Hemiptera). Revista Brasileira de Biologia 27(3): 315–320.

Carvalho, J. C. M.; Afonso, C. R. da S. 1977. Mirídeos Neotropicais, CCVIII: sobre uma coleção enviada para estudo pela Academia de Ciências da California (Hemiptera). Revista Brasileira de Biologia 37(1): 7–16.

Carvalho, J. C. M.; Gomes, I. da P. 1970. Mirídeos Neotropicais, CXVII: sobre algumas espécies de Bryocorini e Clivinemini (Hemiptera). Revista Brasileira de Biologia 30(3): 411–418.

Carvalho, J. C. M.; Costa, L. A. A. 1993. Mirídeos Neotropicais, CCCLXXX: novos gêneros e espécies novas de Rondônia, Brasil (Hemiptera). Revista Brasileira de Entomologia 37(4): 803–817.

Carvalho, J. C. M.; Ferreira, P. S. F. 1972. Mirídeos Neotropicais, CXLV: estudo de duas coleções da República do Peru (Hemiptera). Revista Brasileira de Biologia 32(2): 177–183.

Carvalho, J. C. M.; Ferreira, P. S. F. 1986. Mirídeos Neotropicais, CCLXXVII: espécies do município de Viçosa, Minas Gerais, com descrições de novos taxa (Hemiptera). Experientiae 29(10): 143–189.

Carvalho, J. C. M.; Ferreira, P. S. F. 1995. Mirídeos Neotropicais, CCCXC: chave para os gêneros neotropicais de Bryocorinae Baerensprung, 1860 (Heteroptera). Revista Ceres 42(243): 469–496.

Coelho, L. A. 2008. Miridofauna do Rio Grande do Sul, Brasil (Dissertação Doutorado). Dissertação Doutorado: 1–165.

Ferreira, P. S. F.; Rossi, D. 1979. Catálogo das espécies de Miridae (Hemiptera) de Viçosa, Estado de Minas Gerais, Brasil. Experientiae 25(7): 131–157.

Ferreira, P. S. F.; Martins, D. S.; Ferreira, L. S. F.; Fornazier, M. J. 2024. Synopsis of Miridae (Hemiptera: Heteroptera) in Atlantic Forest Dominion, Espírito Santo State, Brazil: keys, diagnoses, new species, plant associations, and geographic distribution. Part I: Bryocorinae, Cylapinae and Deraeocorinae. Zootaxa 5468(2): 201–254.

Ferreira, P. S. F.; Silva, E. R.; Coelho, L. B. N. 2001. Miridae (Heteroptera) fitófagos e predadores de Minas Gerais, Brasil, com ênfase em espécies com potencial econômico. Iheringia, Série Zoologia, Porto Alegre, 91: 159–169.

Ferreira, P. S. F.; Pires, E. M.; Paula, A. S.; Coelho, L. A. 2006. Geographic distribution of Miridae in Minas Gerais State, Brazil (Hemiptera: Heteroptera). Zootaxa 1123(1): 1–19. DOI: https://doi.org/10.11646/zootaxa.1123.1.1

Ferreira, P. S. F.; Henry, T. J. 2011. Synopsis and keys to the tribes, genera, and species of Miridae (Hemiptera: Heteroptera) of Minas Gerais, Brazil. Part I: Bryocorinae. Zootaxa 3120(1): 1–41.

Henry, T. J.; Howard, S. Z. 2016. Revision of the Neotropical plant bug genus Sinervus Stål (Heteroptera: Miridae: Bryocorinae: Eccritotarsini), with the description of four new species and a closely related new genus. Proceedings of the Entomological Society of Washington 118(4): 533–554. DOI: https://doi.org/10.4289/0013-8797.118.4.533

Konstantinov, V. F.; Namyatova, A. A.; Cassis, G. 2018. A synopsis of the bryocorine tribes (Heteroptera: Miridae: Bryocorinae): key, diagnoses, hosts and distributional patterns. Invertebrate Systematics 32: 866–889. DOI: https://doi.org/10.1071/IS17087

Namyatova, A. A.; Konstantinov, F. V.; Cassis, G. 2015. Phylogeny and systematics of the subfamily Bryocorinae based on morphology with emphasis on the tribe Dicyphini sensu Schuh, 1976. Systematic Entomology 41: 3–40. DOI: https://doi.org/10.1111/syen.12140

Nogueira, B. C. F.; Coelho, L. A.; Martins, D. S.; Barcellos, B. D.; Sartori, S. R.; Ferreira, P. S. F. 2019. Associações de percevejos mirídeos (Hemiptera: Miridae) com plantas no Brasil – Associations of Plant Bugs (Hemiptera: Miridae) with plants in Brazil. Biológico 81: 1–30.

Odhiambo, T. R. 1962. Review of some genera of the subfamily Bryocorinae (Hemiptera: Miridae). Bulletin of the British Museum (Natural History), Entomology 2(6): 245–331.

Schuh, R. T. 1975. The structure, distribution, and taxonomic importance of trichobothria in the Miridae (Hemiptera). American Museum Novitates 2585: 1–26.

Schuh, R. T. 1976. Pretarsal structure in the Miridae (Hemiptera) with a cladistic analysis of relationships within the family. American Museum Novitates 2601: 1–39.

Schuh, R. T. 2013. On-line systematic catalog of plant bugs (Insecta: Heteroptera: Miridae). Disponível em: http://research.amnh.org/pbi/catalog/ [accessed 2016].

Stål, C. 1960. Bidrag till Rio Janeiro-traktens Hemipter-fauna. Kongliga Svenska Vetenskapsakademiens Handlingar 2(7): 1–84.

Miridae Brasil Copyright ® 2026 - Todos Os Direitos Reservados.