Eccritotarsus montanus Carvalho & Schaffner, 1986

Sinonímia:

Eccritotarsus montanus Carvalho & Schaffner, 1986.

Diagnose:

Cabeça esbranquiçada; fronte e vértice marrom-amarelados; antenômeros I e II brancacentos, III e IV escuros. Pronoto negro, região adjacente às coxas marrom-amarelada; região anterior da mesopleura negra; pernas brancacentas. Escutelo negro. Hemiélitro com o clavo negro e área central branca contígua à sutura claval; faixa transversal negra estreitando-se em direção ao embólio, ultrapassando-o mas geralmente sem atingir a margem costal; veia areolar tingida de negro na região angular; membrana clara.

Genitália:
Genitália de Eccritotarsus montanus
Figura modificada de Carvalho & Schaffner (1986).
Planta associada:

Desconhecida

Observações:

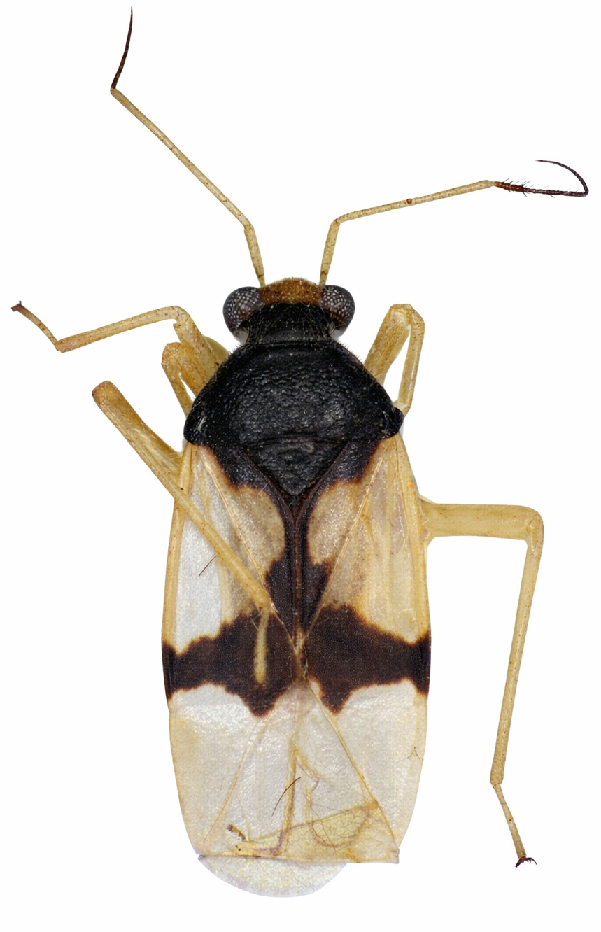
Imagem de Eccritotarsus montanus
Figura modificada de Carvalho & Schaffner (1986).

Eccritotarsus montanus Carvalho & Schaffner, 1986

Sinonímia:

Eccritotarsus montanus Carvalho & Schaffner, 1986.

Diagnose:

Cabeça esbranquiçada; fronte e vértice marrom‑amarelados; antenômeros I e II brancacentos, III e IV escuros. Pronoto negro, região adjacente às coxas marrom‑amarelada; região anterior da mesopleura negra; pernas brancacentas. Escutelo negro. Hemiélitro com o clavo negro e área central branca contígua à sutura claval; faixa transversal negra estreitando‑se em direção ao embólio, ultrapassando‑o mas geralmente sem atingir a margem costal; veia areolar tingida de negro na região angular; membrana clara.

Genitália:
Genitália de Eccritotarsus montanus
Planta associada:

Desconhecida

Observações:

Imagem de Eccritotarsus montanus
Distribuição Geográfica no Brasil – SP e RJ
Distribuição Geográfica no Brasil
Serra da Bocaina (SP) e Parque Nacional do Itatiaia (RJ)
Referências e Bibliografia sugerida

Referências e Bibliografia sugerida

Carvalho, J. C. M.; Schaffner, J. C. 1986. Neotropical Miridae, CCLXXV: Additional Species of the Genus Eccritotarsus Stål (Hemiptera) – Part I. Anais da Academia Brasileira de Ciências 58(2): 303–324. (DOI não localizado)

Miridae Brasil Copyright ® 2026 - Todos Os Direitos Reservados.