Eccritotarsus carioca Carvalho & Gomes, 1971

Sinonímia:

Eccritotarsus hyalinus Carvalho nec Stål, An. Acad. Brasil. Ci. 25 (4): 478, 1953 (genitália). BY67Y

Diagnose:

Cabeça de coloração clara. Hemiélitro com o clavo apresentando manchas claras semicirculares grandes alcançando a comissura clavo-corial. Pronoto com a área entre os calos pálido-amarelada.

Genitália:
Genitália de Eccritotarsus carioca
Figura modificada de Carvalho & Gomes (1971).
Planta associada:

Desconhecida.

Observações:

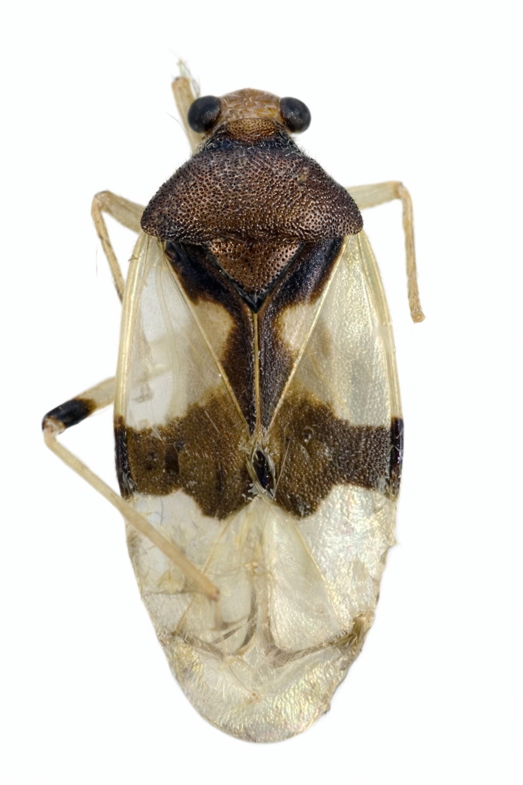
Imagem de Eccritotarsus carioca
Figura autoral.
Distribuição Geográfica no Brasil – RJ, ES e MG
Distribuição Geográfica no Brasil
Rio de Janeiro (Corcovado), Espírito Santo (Domingos Martins) e Minas Gerais (Viçosa)
Referências e Bibliografia sugerida

Referências e Bibliografia sugerida

Carvalho, J. C. M. 1953. Neotropical Miridae, LV: the genus Eccritotarsus Stål, with descriptions of fifteen new species (Hemiptera). Anais da Academia Brasileira de Ciências 25(4): 469–493.

Carvalho, J. C. M.; Gomes, I. da P. 1971. Mirídeos neotropicais, CXXX: novas pesquisas no gênero Eccritotarsus Stål (Hemiptera). Revista Brasileira de Biologia 31(2): 175–188.

Miridae Brasil Copyright ® 2026 - Todos Os Direitos Reservados.