Eccritotarsus brasiliensis Carvalho & Gomes, 1971

Sinonímias:

Pseudobryocoris bicolor Carvalho, nec Distant, 1948.

Diagnose:

Cabeça com colar pálido-amarelado. Escutelo negro. Hemiélitro com o clavo negro apresentando duas manchas arredondadas próximas ao ápice; faixa transversal negra no ápice do cório e embólio, mais alargada na região comissural onde se dirige à porção basal da membrana. Ápice dos fêmures posteriores — e, em alguns exemplares, também dos medianos e anteriores — negros.

Genitália:
Genitália de Eccritotarsus brasiliensis
Figura modificada de Carvalho & Gomes (1971).
Planta associada:

Desconhecida.

Observações:

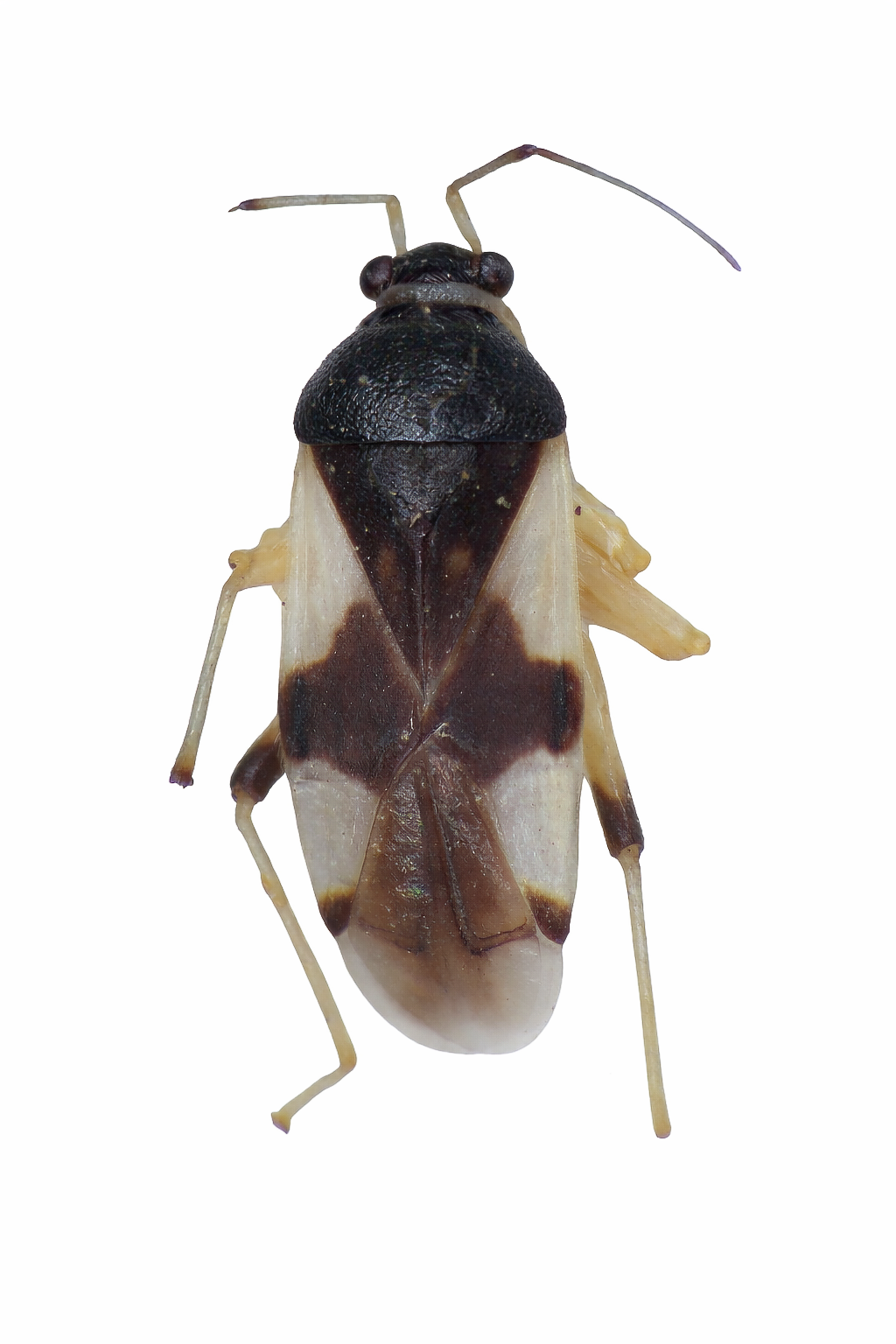
Imagem de Eccritotarsus brasiliensis
Figura autoral.
Distribuição Geográfica no Brasil – Rio de Janeiro e Minas Gerais
Distribuição Geográfica no Brasil
Rio de Janeiro (múltiplas localidades) e Minas Gerais (Viçosa)
Referências e Bibliografia sugerida

Referências e Bibliografia sugerida

Carvalho, J. C. M. 1948. Mirídeos neotropicais, XXXI: gênero Pseudobryocoris Distant e uma espécie nova de Neella Reuter (Hemiptera). Anais da Academia Brasileira de Ciências 20: 96–104.

Carvalho, J. C. M.; Gomes, I. da P. 1971. Mirídeos neotropicais, CXXX: novas pesquisas no gênero Eccritotarsus Stål (Hemiptera). Revista Brasileira de Biologia 31(2): 175–188.

Miridae Brasil Copyright ® 2026 - Todos Os Direitos Reservados.